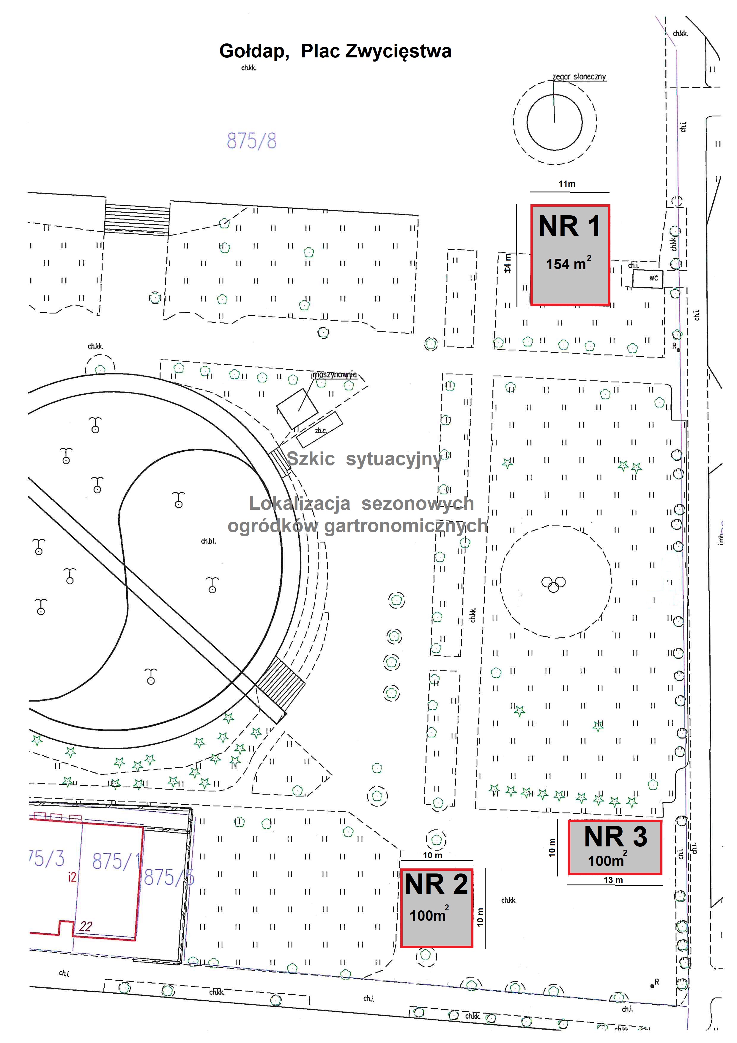
Ogłoszenie o przetargach ustnych nieograniczonych na dzierżawę gruntów pod sezonowe stoiska usług gastronomicznych i rekreacyjnych (np. sprzedaż lodów, wypożyczalnie rowerów, itp.) na czas od 01.06.2021 r. do 31.08.2021 r.

Lista załączników do przetargu

  1. ogłoszenie o przetragu - część dz. 875-8.docx
  2. ogłoszenie o przetargu - część dz. 875-8.pdf
  3. Lokalizacja nieruchomości na mapie.jpg
Status przetargu:nowy
Autor: Magda Kuliś
Data utworzenia: 16-04-2021 13:11:10